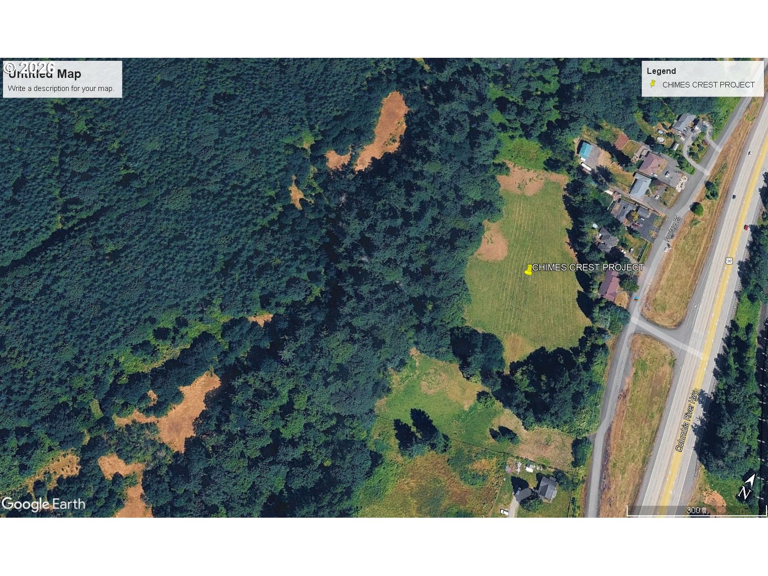
060871 Chimes Crest RDSt Helens, OR 97051
Due to the health concerns created by Coronavirus we are offering personal 1-1 online video walkthough tours where possible.




RESIDENTIAL DEVELOPMENT POTENTIAL Possible Seller Financing! 17.54 ACRE COLUMBIA COUNTY, RESIDENTIAL DEVELOPMENT POTENTIAL PROPERTY..........................................................OPTION 1; As per Columbia County. Zoned R-10 Develop small acreage ESTATE Lots of 1 acre or larger w/ On Site-Septic and City water....................provided by Columbia City..................................OPTION 2; ZONED R-10 Engineer's Conceptual drawing for Multiple lots (10 K + Sq.Ft. lots) This would require sizable extension of City Sewer. Property In the County but Columbia City Water and (Sewer if needed).......................................................... Potential for Columbia River and Mountain views on many of the lots. Survey, Topo, Geo-tech, Level 1 completed, Paved frontage. POSSIBLE Seller Financing available!!! Buyer to perform own Due Diligence
| 2 days ago | Listing updated with changes from the MLS® | |
| 2 days ago | Listing first seen on site |
The content relating to real estate for sale on this website comes in part from the IDX program of the RMLS™ of Portland, Oregon. Real estate listings held by brokerage firms other than Daniel Webb Real Estate are marked with the RMLS™ logo, and detailed information about these properties includes the names of the listing brokers. Listing content is Copyright © 2026 RMLS™, Portland, Oregon. Some properties which appear for sale on this website may subsequently have sold or may no longer be available.
Last checked 2026-03-29 02:03 AM PDT.
All information provided is deemed reliable but is not guaranteed and should be independently verified

