Save
Ask
Tour
Hide
$550,000
400 Days On Site
SE Hillcrest RDHappy Valley, OR 97086
For Sale|Single Family Residence|Active
0
Beds
0
Total Baths
County:
Clackamas
Listing courtesy of Nancy Carnahan of Ventures Realty Group (503) 804-6029
Due to the health concerns created by Coronavirus we are offering personal 1-1 online video walkthough tours where possible.
Call Now: 1-(971) 203-0682
Is this the listing for you? We can help make it yours.
1-(971) 203-0682



Save
Ask
Tour
Hide
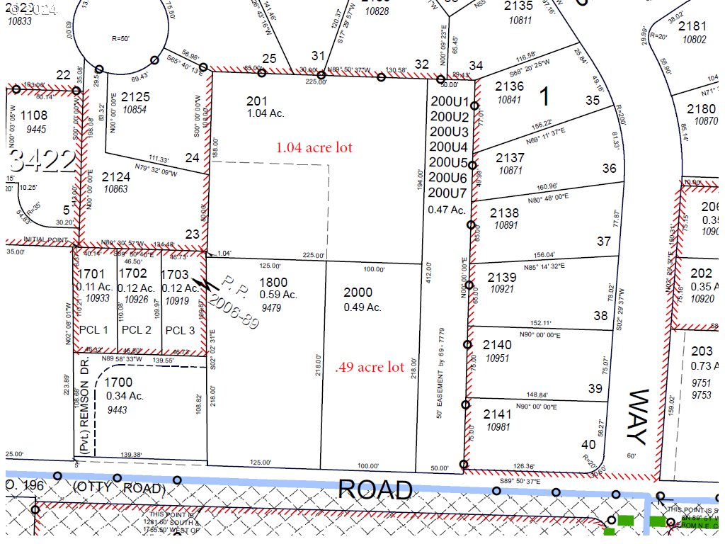
Beautiful separate lot of record 1.04 acre available to build single family home or develop subdivision under R5 zoning in unincorporated Clackamas County. County says property qualifies for middle housing presenting an opportunity to develop multiple single family homes, 2-4 plexes, townhomes or cottage clusters. Adjacent lot available see (ml# 24248659). Plus adjacent home with .59 acre also available. Easy access to I-205 and Sunnyside Rd. Near Mt Scott Elementary.
Save
Ask
Tour
Hide
Listing Snapshot
Price
$550,000
Days On Site
400 Days
Bedrooms
N/A
Inside Area (SqFt)
N/A
Total Baths
N/A
Full Baths
N/A
Partial Baths
N/A
Lot Size
1.04 Acres
Year Built
N/A
MLS® Number
24515916
Status
Active
Property Tax
$1,575.36
HOA/Condo/Coop Fees
N/A
Sq Ft Source
N/A
Friends & Family
Recent Activity
| 2 months ago | Listing updated with changes from the MLS® | |
| a year ago | Listing first seen on site |
General Features
Acres
1.04
Disclosures
Exempt
Land Lease
No
Property Sub Type
Single Family Residence
Sewer
Public Sewer
Utilities
Electricity AvailableWater Available
Zoning
R5
Save
Ask
Tour
Hide
Exterior Features
Lot Features
Wooded
Community Features
Financing Terms Available
CashConventional
MLS Area
_145
Roads
Paved
Schools
School District
Unknown
Elementary School
Mt Scott
Middle School
Rock Creek
High School
Clackamas
Listing courtesy of Nancy Carnahan of Ventures Realty Group (503) 804-6029
The content relating to real estate for sale on this website comes in part from the IDX program of the RMLS™ of Portland, Oregon. Real estate listings held by brokerage firms other than are marked with the RMLS™ logo, and detailed information about these properties includes the names of the listing brokers. Listing content is Copyright © 2025 RMLS™, Portland, Oregon. Some properties which appear for sale on this website may subsequently have sold or may no longer be available.
Last checked 2025-12-30 07:51 PM PST.
All information provided is deemed reliable but is not guaranteed and should be independently verified
The content relating to real estate for sale on this website comes in part from the IDX program of the RMLS™ of Portland, Oregon. Real estate listings held by brokerage firms other than are marked with the RMLS™ logo, and detailed information about these properties includes the names of the listing brokers. Listing content is Copyright © 2025 RMLS™, Portland, Oregon. Some properties which appear for sale on this website may subsequently have sold or may no longer be available.
Last checked 2025-12-30 07:51 PM PST.
All information provided is deemed reliable but is not guaranteed and should be independently verified
Neighborhood & Commute
Source: Walkscore
Disclosure: Community information and market data powered by Constellation Data Labs. Information is deemed reliable but not guaranteed.
Save
Ask
Tour
Hide


Did you know? You can invite friends and family to your search. They can join your search, rate and discuss listings with you.